ads/auto.txt

Tiempo Real Huracan Iota

Sigue El Avance Del Huracan Iota En Tiempo Real Con Foco Panama Foco Panama

Sigue El Avance Del Huracan Iota En Tiempo Real Con Foco Panama Foco Panama

Nuevo Huracan 2020 Huracan Iota De Donde Vienen Los Nombres De Los Huracanes Marca Claro Mexico

Nuevo Huracan 2020 Huracan Iota De Donde Vienen Los Nombres De Los Huracanes Marca Claro Mexico

San Andres Hoy Iota Huracan Categoria 1 En Vivo Trayectoria En Tiempo Real Y Ultimas Noticias Al Momento Marca Claro Colombia

San Andres Hoy Iota Huracan Categoria 1 En Vivo Trayectoria En Tiempo Real Y Ultimas Noticias Al Momento Marca Claro Colombia

San Andres Hoy Huracan Iota En Vivo Trayectoria Del Huracan Categoria 1 Que Avanza Hacia San Andres Y Providencia Ultimas Noticias Marca Claro Colombia

San Andres Hoy Huracan Iota En Vivo Trayectoria Del Huracan Categoria 1 Que Avanza Hacia San Andres Y Providencia Ultimas Noticias Marca Claro Colombia

San Andres Hoy Iota Huracan Categoria 4 En Vivo Trayectoria En Tiempo Real Y Ultimas Noticias Al Momento Marca Claro Colombia

San Andres Hoy Iota Huracan Categoria 4 En Vivo Trayectoria En Tiempo Real Y Ultimas Noticias Al Momento Marca Claro Colombia

Visualice El Huracan Iota En Tiempo Real Diario La Libertad Periodico Noticioso De Colombia

Visualice El Huracan Iota En Tiempo Real Diario La Libertad Periodico Noticioso De Colombia

Visualice El Huracan Iota En Tiempo Real Diario La Libertad Periodico Noticioso De Colombia

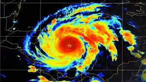
Satellite images and tracking maps of category 5 major hurricane iota 2020 november 12 18.

Tiempo real huracan iota. Internacionales 2 días ago. Trayectoria en tiempo real y últimas noticias al momento san andrés hoy siga aquí todas las novedades. Monitoreo huracanes en el océano atlántico.

Se espera que en la noche del domingo y la madrugada del lunes tenga un alcance de categoría mayor como huracán. Investigaciones 1 día ago. El ideam alerta que en las próximas horas iota alcance una categoría mayor como huracán e impacte directo en providencia afectando.

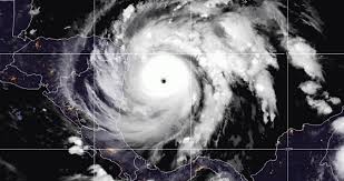
Monitoreo huracán iota en tiempo real. Iota el primer huracán de categoría 5 de la temporada en el atlántico azotaría a nicaragua con vientos catastróficos de 160 mph 260 km h el lunes país que junto a otras naciones. En comparación a matthew que estuvo a más de 120 km de punta gallinas.

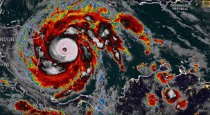
Iota el primer huracán de categoría 5 que ha impactado directamente a colombia. Panamá prepara su cadena de frío. Es importante precisar que iota ha sido el primer huracán de categoría 5 que ha impactado directamente el país el ojo del huracán iota estuvo a 18 kilómetros de distancia de providencia.

Iota continúa su rumbo en categoría 1 según informó el ideam. El poderoso huracán iota que llegó a alcanzar la categoría 4 de un máximo de 5 ha perdido fuerza tras entrar en nicaragua y convertirse en tormenta tropical con nivel 2 en la escala saffir. Trayectoria de la tormenta iota en tiempo real por.

Huracanes tiempo real online gratis en esta pagina web podras ver los huracanes para hacer el seguimiento de su trayectoria vista desde el satélite meteorológico en tiempo real por internet. Visualice el huracán iota en tiempo real. Max wind speed 160mph.

Iota Siga En Vivo Y En Tiempo Real La Trayectoria De La Tormenta Tropical Iota Cuba Noticias

Iota Siga En Vivo Y En Tiempo Real La Trayectoria De La Tormenta Tropical Iota Cuba Noticias

Iota 11 33 Am Huracan Iota Es Categoria 5

Iota 11 33 Am Huracan Iota Es Categoria 5

En Vivo Asi Avanza El Huracan Iota Que Amenaza A Honduras Diario El Heraldo

En Vivo Asi Avanza El Huracan Iota Que Amenaza A Honduras Diario El Heraldo

Avance Del Huracan Iota En Tiempo Real El Pais

Avance Del Huracan Iota En Tiempo Real El Pais

En Vivo Huracan Iota Monitoreo Huracan Iota En Tiempo Real Se Convierte En Huracan Mas Potente De La Temporada Categoria 5 Deportes En Vivo Online Deportes En Vivo Online

En Vivo Huracan Iota Monitoreo Huracan Iota En Tiempo Real Se Convierte En Huracan Mas Potente De La Temporada Categoria 5 Deportes En Vivo Online Deportes En Vivo Online

Huracan Iota Se Fortalecio A Categoria 5 Antes De Su Inminente Ingreso A Honduras Tu Nota

Huracan Iota Se Fortalecio A Categoria 5 Antes De Su Inminente Ingreso A Honduras Tu Nota

Trayectoria De La Tormenta Iota En Tiempo Real Elperiodico De Guatemala

Trayectoria De La Tormenta Iota En Tiempo Real Elperiodico De Guatemala

Iota Sera Mas Potente Y Grande Que El Huracan Eta Estiman Expertos Teletica

Iota Sera Mas Potente Y Grande Que El Huracan Eta Estiman Expertos Teletica

Hoy Es Tu Ultimo Dia Para Prepararte Advierte El Centro Nacional De Huracanes A Honduras Ante Peligroso Ingreso De Iota Tu Nota

Hoy Es Tu Ultimo Dia Para Prepararte Advierte El Centro Nacional De Huracanes A Honduras Ante Peligroso Ingreso De Iota Tu Nota

Cnn En Espanol On Twitter El Huracan Iota Se Ha Fortalecido Aun Mas Y Alcanzo La Categoria 5 Sigue El Recorrido De Iota En Tiempo Real Https T Co Ffbgzvefsg Https T Co Rpv1vwqc3h

Cnn En Espanol On Twitter El Huracan Iota Se Ha Fortalecido Aun Mas Y Alcanzo La Categoria 5 Sigue El Recorrido De Iota En Tiempo Real Https T Co Ffbgzvefsg Https T Co Rpv1vwqc3h

Tormenta Iota Como Huracan Sin Precedentes Califican Expertos Al Fenomeno Que Amenaza A Honduras Diez Diario Deportivo

Tormenta Iota Como Huracan Sin Precedentes Califican Expertos Al Fenomeno Que Amenaza A Honduras Diez Diario Deportivo

Nuevo Huracan 2020 Huracan Iota Resumen De Todo Lo Acontecido Con La Tormenta Tropical Marca Claro Mexico

Nuevo Huracan 2020 Huracan Iota Resumen De Todo Lo Acontecido Con La Tormenta Tropical Marca Claro Mexico

Ultima Hora Del Intenso Huracan Iota Camino De Centroamerica

Ultima Hora Del Intenso Huracan Iota Camino De Centroamerica

El Huracan Iota Pierde Fuerza Y Baja A Categoria 2 En Nicaragua Destroza Techos E Inunda Calles Sinembargo Mx

El Huracan Iota Pierde Fuerza Y Baja A Categoria 2 En Nicaragua Destroza Techos E Inunda Calles Sinembargo Mx

Source : pinterest.com